Działka rekreacyjna nad jeziorem prąd woda kanalizacja w bud
Wierzchowo Pokaż na mapie ›
Odświeżone: Piątek, 20 Marzec, 2026 10:45
63 000 zł
180 zł/m2
Szczegóły ogłoszenia
- Kategoria: Działki i grunty / Sprzedaż
- Pow. działki:350 m2
- Rodzaj działki:Rekreacyjna
- Sprzedaż:Bez pośredników
- Cena: 63 000 zł / 180 zł/m2
Opis oferty
DZIAŁKA REKREACYJNA , prąd , woda na działce, kanalizacja w budowieNA POJEZIERZU DRAWSKIM- Wierzchowo
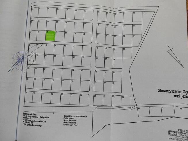
Działka nr 28 leży nad brzegiem jeziora Wąsosz w otulinie Drawskiego Parku Krajobrazowego, zaliczanego do jednego z najczystszych zbiorników wodnych w Polsce. Rozciąga się z niej piękny widok na jezioro, otoczone lasami i łąkami, a w okalających trzcinowiskach zamieszkuje wiele gatunków ptaków.
Na terenie działki można postawić domek letniskowy do 35 m kw plus taras 12 m kw. bez występowania o pozwolenie lub zgłoszenie.
Znajduje się ona niedaleko jeziora, na wzniesieniu, dzięki czemu pięknie widać taflę jeziora.
Wszyscy działkowcy mogą korzystać z linii brzegowej. Wzdłuż linii brzegu powstanie plaża.
Działka leży na terenie Stowarzyszenia Ogrodowego Wierzchowo, gdzie zlokalizowano 97 działek. Działki rekreacyjne tworzone są na terenie własnym Stowarzyszenia.
Wzdłuż brzegu będą posadowione pomosty . Prawo do działki, członek stowarzyszenia uzyskuje po podpisaniu dzierżawy działkowej, co potwierdzone zostaje WPISEM DO KSIĘGI WIECZYSTEJ.
Do działki doprowadzono prąd oraz wodę, obecnie trwa budowa sieci sanitarnej.
Działka ma kształt prostokąta . Powierzchnia 350m2 plus 110 m2 drogi wspólnej.
Tereny wokół niego są słabo zagospodarowane turystycznie, co czyni je prawdziwym rajem dla amatorów wędkowania. W wodach Wąsosza pływają takie ryby, jak węgorze, szczupaki, leszcze, płocie i karpie.
Warto podkreślić, że posiadanie działki rekreacyjnej to doskonała forma inwestowania oszczędności. Każdy, kto przystępuje do stowarzyszenia, staje się dzierżawcą a pośrednio współwłaścicielem, ponieważ działki powstają na TERENIE WŁASNYM STOWARSZYSZENIA. Działkowcom nie grozi wywłaszczenie jak w przypadku działek typu ROD.
Działki mogą być zbywane na rynku wtórnym. Działkowiec otrzymuje wówczas zwrot wpisowego i poniesionych nakładów, co czyni tę transakcję niezwykle interesującą. Każdy użytkownik może korzystać ze swojego ogrodu przez cały rok, ponieważ wszystkie media zaprojektowane są do całorocznej eksploatacji.
Polecam
Sprawdź zainteresowanie tym ogłoszeniem
Wyświetlenia
Data dodania
Ostatnio widziany
Obserwujących
Wysłane zapytania
Odsłony telefonu
- Wypromuj ogłoszenie
- Zgłoś naruszenie
- Drukuj ulotkę
- Edytuj/usuń ogłoszenie
- Udostępnij ogłoszenie
- Dodaj na Facebook























